header image

[Sign Up Now] to Receive Our FREE Daily SCVTV-SCVNews Digest by E-Mail

Inside
Weather


 
Calendar
Today in
S.C.V. History
December 14
1931 - Season's first major storm deposits 9 inches of snow in Newhall, 10 in Saugus [story]
1931 snowfall


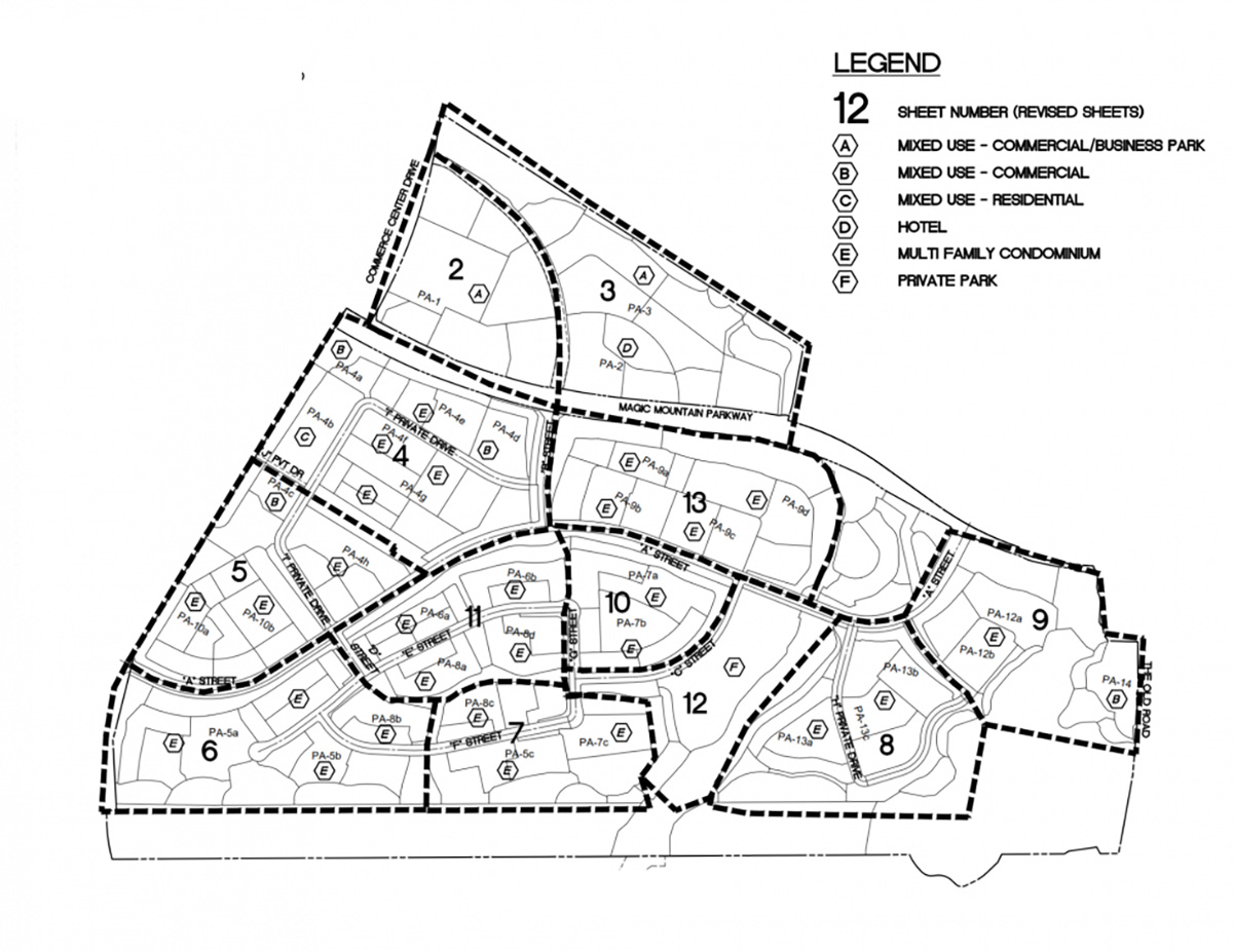
The Los Angeles County Board of Supervisors has unanimously voted to clear the way for the Entrada South/Valencia Commerce Center development project, one of the largest proposals to come before the board in recent years.

Located west of The Old Road and bordered by both the northern and southern portions of Magic Mountain Parkway, Entrada South will introduce 91 lots containing 1,574 multi-family units, both apartments and condominiums. As part of this housing mix, the developer will build 110 affordable units on-site and add at least 78 more affordable units off-site for households earning up to 65 percent of the area median income, which is approximately $69,300 for a four-person household in the Santa Clarita Valley.

Valencia Commerce Center features a substantial economic development component. More than 4 million square feet of industrial and commercial space will be added to the area, which is expected to help create more than 10,000 jobs.

Los Angeles County Board of Supervisors Chair Kathryn Barger, who represents the unincorporated area where the project is located, emphasized the project’s importance.

“Entrada South is another big step forward towards addressing the housing affordability crisis in the region, which was only made worse by the recent Los Angeles wildfires,” Barger said. “I’ve heard stories from survivors struggling to find housing, citing monthly rent payments exceeding $8,000 per month. One of the most powerful solutions we as a Board wield is the approval of responsible housing development to keep up with demand. I’m committed to supporting projects that make home ownership an achievable goal for young and older generations alike.”

The Southern California Association of Governments estimates that Los Angeles County needs more than 800,000 additional housing units to keep up with demand, with more than 90,000 of those lacking in unincorporated communities.

Traffic management and transportation improvements were key aspects of the Entrada South planning process and a focal part of Barger’s review prior to approval. The project’s developer, the Newhall Land and Farming Company, a subsidiary of Fivepoint Holding, LLC will finance up to $62 million and dedicate the necessary right-of-way to support The Old Road improvements. This major investment will reduce the county’s contributions for this nearly $250 million dollar project and ensure that the multimodal transportation project proceeds on schedule to serve existing and future residents throughout the valley.

Fire safety was also a key focus of the county’s review of the project. Entrada South includes homes built to fire-resilient codes and incorporates underground utilities that help reduce the risk of ignition from powerlines.

Los Angeles County Fire Chief Anthony J. Marrone testified before the Board of Supervisors cast their vote. He shared that Fire Station 46, located nearby in Mission Village, is moving forward with construction set to begin in early 2026.

The Entrada South project also provides expansive open-space and recreation amenities. More than 340 acres will be preserved as open space, including 28 acres designated as a protected Spineflower Preserve. Within this natural landscape, the development will provide new public trails that connect directly to the region’s existing trail network. A new 5.4-acre public park will be built, accompanied by 20 private recreational lots located adjacent to residential areas.

Comment On This Story
COMMENT POLICY: We welcome comments from individuals and businesses. All comments are moderated. Comments are subject to rejection if they are vulgar, combative, or in poor taste.
REAL NAMES ONLY: All posters must use their real individual or business name. This applies equally to Twitter account holders who use a nickname.

1 Comment

  1. Mark Brifman says:

    Where is the drinking water coming from?

Leave a Comment


LOS ANGELES COUNTY HEADLINES
Friday, Dec 12, 2025
The Los Angeles County Sheriff’s Department wants to remind the public of the dangers of driving impaired and to celebrate the holiday season responsibly by not driving under the influence.
Friday, Dec 12, 2025
The California Department of Public Health is working with local health departments and the California Department of Food and Agriculture to investigate an outbreak of Salmonella Enteritidis infections linked to the consumption of eggs.
Thursday, Dec 11, 2025
The California Department of Public Health is warning consumers not to eat TRE House brand Magic Mushroom gummies, chocolate bars and syrup.
Thursday, Dec 11, 2025
On Nov. 10, the Los Angeles County Sheriff’s Department recovered an item which appears to be a large ceremonial brass bell.
Wednesday, Dec 10, 2025
Governor Gavin Newsom announced that the California Transportation Commission approved $1.1 billion to fund new zero-emission buses, charging stations, and related infrastructure

Keep Up With Our Facebook
Latest Additions to SCVNews.com
1931 - Season's first major storm deposits 9 inches of snow in Newhall, 10 in Saugus [story]
1931 snowfall
1900 - Automobile Club of Southern California founded; first car in SCV appeared 1902 [story]
Auto Club Topper
Boys & Girls Club of Santa Clarita Valley recently hosted its annual Board Holiday Luncheon, a special gathering to celebrate and honor those who continue to uplift the club and the young people it serves.
Boys & Girls Club of Santa Clarita Valley Board Holiday Luncheon
Come and share your wish lists and take a photo with Santa in his holiday home through Christmas Eve, Dec. 24 at Valencia Town Center.
Photos With Santa at Valencia Town Center Through Christmas Eve
The city of Santa Clarita invites families to experience the magic of the holidays at the fifth annual Barnyard Light Tour on Saturday, Dec. 13, from 5-7:30 p.m. at William S. Hart Park.
Dec. 13: Holiday Sparkle Takes Over at Hart Park Barnyard Light Tour
The Old Town Newhall Public Library will host a Regency Blend: a Tea Making Social, Friday, Dec. 19, 4-5:30 p.m. at 24500 Main St., Santa Clarita, CA 91321.
Dec. 19: ‘Regency Blend, A Tea Making Social’ at Newhall Library
The Los Angeles County Sheriff’s Department wants to remind the public of the dangers of driving impaired and to celebrate the holiday season responsibly by not driving under the influence.
LASD Reminds Drivers ‘Drive Sober or Get Pulled Over’ this Holiday Season
A two-decade Christmas tradition continues on Saturday, Dec. 20, when Faith Community Church welcomes hundreds of neighbors for its 20th annual “Festividad for Christ” celebration.
Dec. 20: Faith Community Church Celebrates 20 Years of ‘Festividad for Christ’
As we complete the second week of Foothill League soccer competition, trends are beginning to show, and Saugus has taken over first place in both the boys and girls leagues.
Foothill League Soccer: Saugus Boys and Girls Ascending
The California Department of Public Health is working with local health departments and the California Department of Food and Agriculture to investigate an outbreak of Salmonella Enteritidis infections linked to the consumption of eggs.
CDPH Warns Consumers Do Not Eat Recalled Vega Farms, Inc. Eggs
College of the Canyons men's basketball played to an 83-69 road win at L.A. City College on Wednesday, Dec. 10 as the Cougars received 43 bench points to help secure the win.
Cougars Win Second Straight Road Game, 83-69 at L.A. City
1891 - Actor Buck Jones, a Placerita and Vasquez "regular," born in Indiana [story]
Buck Jones
Valencia FivePoint Farmers Market will host a holiday market, 8:30 a.m.- 12:30 p.m. Sunday, Dec. 14 at 27426 Navigation Avenue, Valencia, CA 91381.
Dec. 14: Valencia FivePoint Farmers Market Holiday Market
Real Way Foundation Inc. is teaming up with J.C.L. Productions’ L.A. Clave Latin Jazz Band for the Very Merry Jazzy Fiesta Holiday Fundraiser on Saturday, Dec. 13, beginning at 5 p.m.
Dec. 13: Real Way Foundation Hosts ‘Very Merry Jazzy Fiesta’
Luna Events will host a Winter Wonderland Holiday Market, 9 a.m.- 3 p.m. Saturday, Dec. 20 at Saugus High School.
Dec. 20: Winter Wonderland Holiday Market at Saugus High School
The Santa Clarita Elks Lodge 2379 will host its 2025 Holiday Boutique, a fundraiser to help children with disabilities on Saturday, Dec. 13, 9 a.m. – 2 p.m.
Dec. 13: Elks 2025 Holiday Boutique Fundraiser
The California Department of Public Health is warning consumers not to eat TRE House brand Magic Mushroom gummies, chocolate bars and syrup.
CDPH Warns Consumers Not to Eat TRE House Brand Magic Mushroom Products
On Nov. 10, the Los Angeles County Sheriff’s Department recovered an item which appears to be a large ceremonial brass bell.
LASD Seeks Info on Recovered Ceremonial Brass Bell
Valencia High School’s internationally acclaimed vocal jazz ensemble, “Two N’ Four,” has been selected to perform at the 2026 Jazz Education Network International Conference in New Orleans.
Valencia High ‘Two N’ Four’ Choir Ensemble Earns National Spotlight
This week Senator Suzette Martinez Valladares (R-Santa Clarita) continued her “District Dialogues” series with an education roundtable, bringing together school superintendents from across the High Desert.
Valladares Hosts High Desert Education Roundtable
Rep. George Whitesides (D-CA-27) and Rep. Jefferson Shreve (R-IN-6) have introduced the National Scam Prevention Coordination Act, legislation that would establish an office in the White House to oversee and coordinate the implementation of a national strategy for fraud and scam prevention.
Whitesides Introduces Legislation to Crack Down on Fraud, Scams
TMU track star Jack Anderson, the recent winner of the NAIA Men's Cross Country Championship, competed in the Sharon Colyear Invitational Dec. 5-6 in Boston.
TMU’s Anderson Competes Against Elite Field in Boston
1922 - Piru bank robbed, banker and daughter kidnapped [story]
Jenks Harris
Governor Gavin Newsom announced that the California Transportation Commission approved $1.1 billion to fund new zero-emission buses, charging stations, and related infrastructure
State Approves $1.1B in Zero-Emission Transit, Safer Roadways, Infrastructure
SCVNews.com